Прадідівська слава
Українські пам’ятки
Будь гордий з того, що Ти є спадкоємцем боротьбиза славу Володимирового тризуба
X
Повідомлення (0/1000)
Не знайшли потрібного?
1) Змініть пошуковий вираз та / або додаткові налаштування пошуку;
2) Шукайте в іншому розділі сайту;
3) Скористайтесь пошуком Google по всьому сайту:
^Україна
^Севастополь м
^Пам’ятки міста
+ Кін. 18 ст. Панорама міста
19 ст. Вид з Корабельної сторони
1870-і (?) рр. Ніч у Севастополі
1870-і (?) рр. Панорама Севастополя і бухти
[1913 р.] Загальний вигляд
[1913 р.] Загальний вигляд Південної бухти
[1913 р.] Санаторій «Кіст»
Курганы в окрестностях Севастополя
+ Михайлівська батарея
Акведук
Башта вітрів
1787 р. План і фасад палацу Катерини 2-ї в Севастополі
+ Костел св.Климента
+ Церква всіх святих
+ Собор Покрови
+ Собор св.Володимира (адміралтейський)
Собор св.Михаїла
+ Церква св.Петра і Павла
+ Каплиця
+ Мечеть
+ Братське кладовище захисників Севастополя
+ Меморіальний комплекс Сапун-гора
+ Графська пристань
Біологічна станція
+ Історичний бульвар
+ Цвинтар Комунарів
+ Малахів курган
Пам’ятний знак заснуванню міста
– Пам’ятник О.І. Казарському
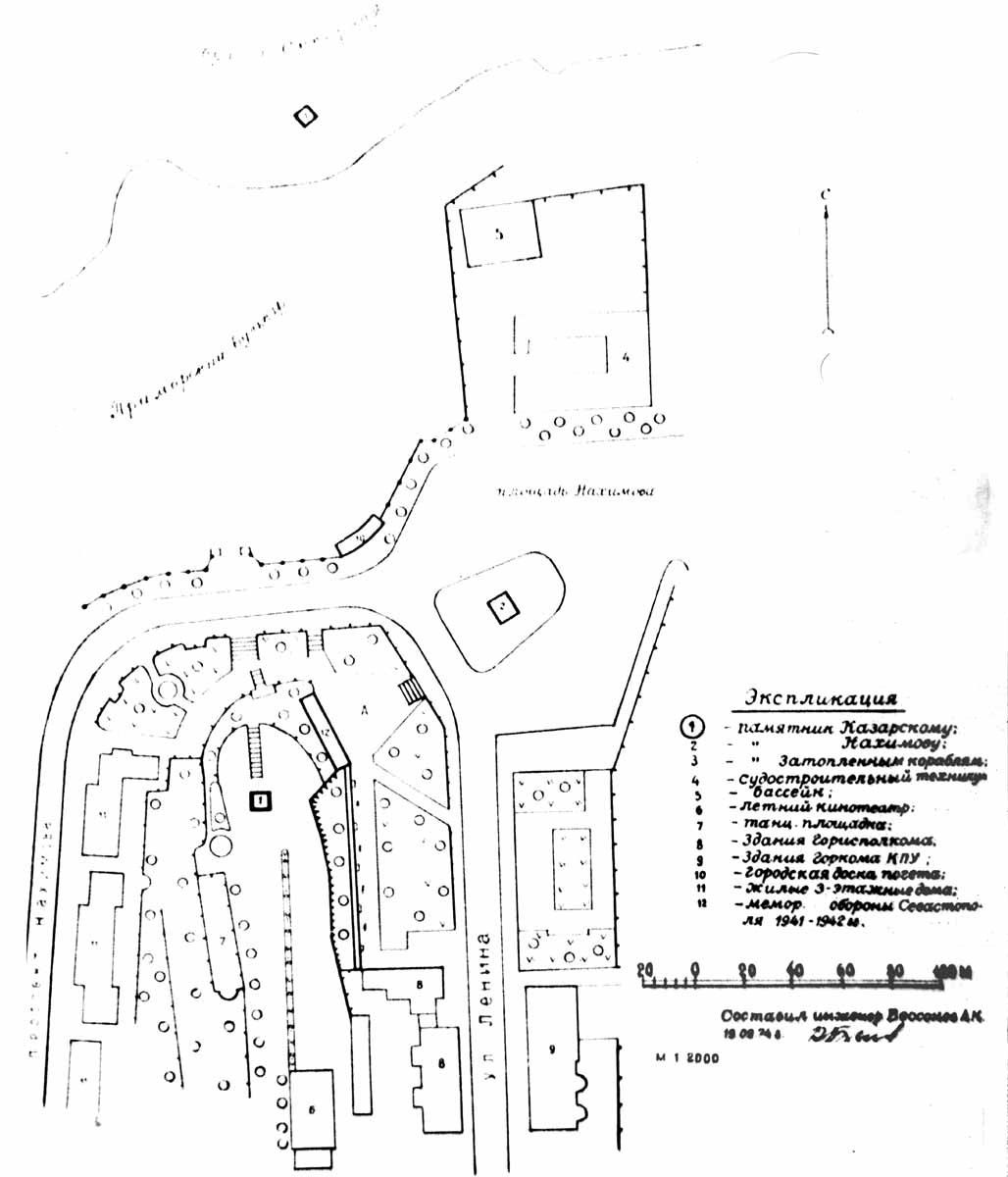
– [1990 р.] Паспортна інформація
Генплан
Схематичний план охоронної зони
Загальний вигляд пам’ятника Казарському у Севастополі
Вигляд з півночі
Вигляд з півдня
Вигляд із заходу
Вигляд зі сходу
[2009 г.] Описание
І.К.Айвазовський. Бриг “Меркурій”, атакований двома турецькими кораблями
+ Пам’ятник затопленим кораблям
Ще 1 рівень
Розмір зображення: 1028:1200 піксел
Вище | Наступна сторінка