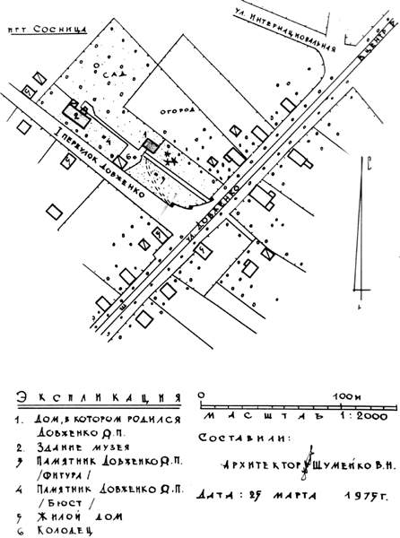
Пошук по розділу сайта Садиба-музей О.П. Довженка. Схематичний план
Не знайшли потрібного?
1) Змініть пошуковий вираз та / або додаткові налаштування пошуку;
2) Шукайте в іншому розділі сайту;
3) Скористайтесь пошуком Google по всьому сайту:
Посилання на сторінку сайта Садиба-музей О.П. Довженка. Схематичний план