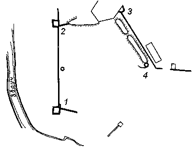
Генеральний план
1 – западная башня;
2 – северная башня;
3 – восточная башня;
4 – древняя круглая башня.
[Памятники градостроительства и архитектуры УССР. – К.: Будівельник, 1986 г., т. 4, с. 199]
|
Генеральний план
1 – западная башня; 2 – северная башня; 3 – восточная башня; 4 – древняя круглая башня. [Памятники градостроительства и архитектуры УССР. – К.: Будівельник, 1986 г., т. 4, с. 199] |