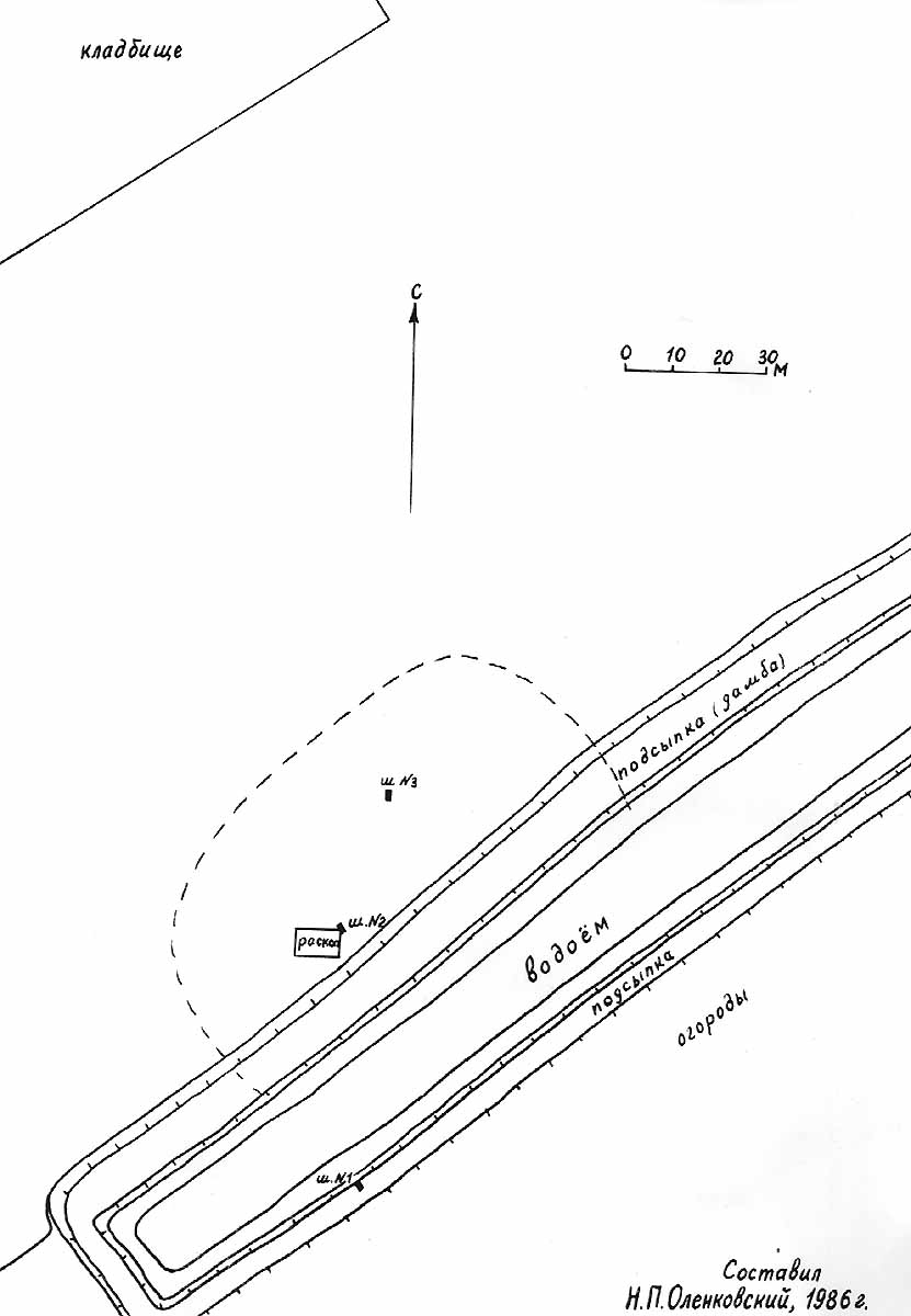
Стоянка пізньопалеолітична
Розмір зображення: 831:1200 піксел
Стоянка Дмитрівка – пам’ятка археології (пізній палеоліт) [Постанова Кабінету міністрів України № 1761 від 27.12.2001 р. “Про занесення пам’яток історії, монументального мистецтва та археології національного значення до Державного реєстру нерухомих пам’яток України”].
Стоянка “Дмитрівка” – пам’ятка археології (1.5 млн. – 10 тис. до н.е.) [Постанова Кабінету міністрів України № 928 від 3.09.2009 р. “Про занесення об’єктів культурної спадщини національного значення до Державного реєстру нерухомих пам’яток України”].

