1987 р. Паспортна інформація
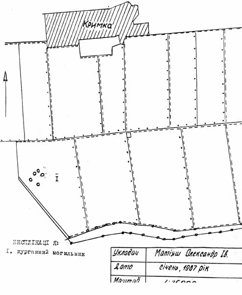
Курганний могильник
Пам’ятка археології (в Реєстрі – Канат-могила)
IV тис. до н.е. – пер. пол. ІІ тис. н.е.
Розміщення:
Запорізька обл., Бердянський р-н, с. Кримка Долинської сільради, в 2,5 км на південь від села на вододілі.
Загальний опис:
Курганний могильник складається з п’яти насипів.
Кургани №№ 1, 2, 3, 6 витягнуті по лінії північний схід-південний захід; кургани №№ 4, 5 розташовані на південний схід від курганів №№ 2, 3.
Курган № 1 (північно-східний): висота – 3,5 м, діаметр – 40 м.
Курган № 2: висота – 2,5 м, діаметр – 30 м.
Курган № 3: висота – 5 м, діаметр – 54 м. Його поверхня зрита ямами, не розорюється. Кургани №№ 2, 3 змикаються полами.
Курган № 4: висота – 1 м, діаметр – 20 м, розорюється.
Курган № 5: висота – 1,5 м, діаметр – 25 м, частково зруйнований пролягаючою через нього грунтовою дорогою.
Облікова інформація:
Взято на охорону згідно рішення обласного виконавчого комітету Запорізької Ради народних депутатів № 202 від 28.06.1988 р.
Охоронний № : 2726.
Ілюстративні матеріали:
Курганний могильник. Схематичний план.
